Food pests

Identify food pests and learn how to prevent them.

On this page

What are food pests?

Food pests are pests that destroy foodstuffs by eating them or contaminating them with their faeces. You can find them in crispbread, flour, spices, biscuits and other dry food, for example.

The pests are usually brought into homes in store packages. They can live either on the outer surface of the package or inside it. The pests may already have got into the packages at the mill or the wholesale company.

Pests are quite common, and you should not be alarmed by them. Pests do not usually carry any diseases. If food is contaminated by the foul-tasting and foul-smelling excretion of the destructive flour beetle, it can no longer be eaten.

Extermination of food pests

The occurrence of food pests does not depend on the cleanliness of the apartment, but it is easier for them to habit and reproduce in untidy households. If you see any pests, you should inspect all dry foodstuffs and unopened packages and throw out the contaminated food.

If this is insufficient, pesticide should be applied. 

  • Pantries should be emptied, as well as other kitchen cupboards.
  • After this, all shelves should be vacuumed.
  • After vacuuming, replace the vacuum cleaner’s dust bag.
  • It is also good to clean the back of the oven and other spots, where dirt and breadcrumbs may be left, and which are not cleaned as often as rest of the kitchen.
  • The pesticide is spread over the wall surfaces and the shelves inside the cupboards.
  • When using pesticides, remember to adhere to the instructions the manufacturer/importer gives.
  • Please remember not to use too much pesticide, as it will not become any more effective, and some substances may leave yellow stains behind.
  • Some pesticides have a long-term effect, so you should leave them on the surfaces for as long as they are effective.

Indianmeal moth

Aikuisen keittiökoisan etusiipien tyvet ovat kellertävän harmaat ja kärkiosat voimakkaan ruosteenpunaisen kirjavat.
Indianmeal moth (Plodia interpunctella). Image: Luomus. Photo: Luomus

Identification marks

Adult: 14–20mm

Larva: approx. 10 mm

The base of an adult Indianmeal moth’s forewings is yellow grey, and the tips are multi-coloured bright russet red. Its head is also russet red. Its antennae are long and curve forwards.

The larva is grey in colour, slightly transparent and has a brown head.

Occurrence

The Indianmeal moth comes to Finland with imported dried fruit, almonds, nuts, sweets and medicaments. The female lays eggs in these products. The larvae weave a white web tissue, which also includes their excrement.

A fully grown larva sometimes encapsulates a long way from its place of growth. For example, it can choose a small crack behind a cupboard or a painting for its cocoon. You can see the adult moths flying around the rooms a long time after the contaminated products have been destroyed, and the storage cupboards have been cleaned.

Damage

The larvae eat nuts, grains (also flour) and dried fruits.

Prevention and extermination

Extermination in contaminated spaces is difficult, as the larvae can spread a long way. If a product package is seriously contaminated, it should be destroyed. It the product is only mildly contaminated, it can be frozen, which kills the moth eggs. Contaminated cupboards should be cleaned carefully.

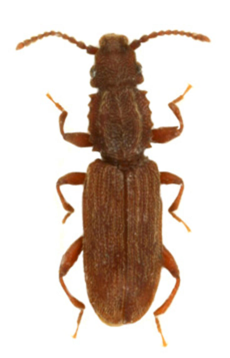
Saw-toothed grain beetle

Saw-toothed grain beetle (Orazaephilus surinamensis). Image: Luomus.

Identification marks

Adult: 2–3 mm

Larva: 3 mm

Fully grown saw-toothed grain beetles are brown and oblong beetles with saw-toothed edges around the front back. The larvae are light in colour and have no fur beside a few fine hairs. There are no appendages or tufts of hair at the end of the body.

Occurrence

Saw-toothed grain beetles eat grain products, dried fruits and other food stuffs. The saw-toothed grain beetle is one of the most harmful pests in mills, chocolate factories and bakeries. It is brought into homes with product packages.

The grain beetles can live in very dry places, which is why they thrive in central heating centres. As they are small, they nest in the little cracks in structures and other hiding places.

Damage

Foodstuffs contaminated by saw-toothed grain beetles or their larvae are no longer fit for consumption.

Prevention and extermination

Saw-toothed grain beetles are exterminated like any other food pests.

Destructive flour beetle

Destructive flour beetle (Tribolium destructor). Image: Luomus.

Identification marks

Adult: 5–6 mm

Larva: approx. 10 mm

The adult destructive flour beetle is dark brown or black and brown in colour. The larva is shiny and yellowish-brown in colour. The tip of its back end has two sharp appendages that curve slightly upwards. You can recognise the species by the stench of Lysol emanating from a crushed beetle.

Occurrence

The destructive flour beetle spreads to homes through stores, mills and bakeries.

Damage

Both the larvae and the adult beetles feed on oatmeal flakes, crispbread, pasta and birdseed. Its foul-smelling and foul-tasting excretion contaminates foodstuffs, for example, flours, and makes them unfit for consumption. It may also feed on textiles. 

Prevention and extermination

All contaminated products must be destroyed. Thoroughly clean the areas where you have seen destructive flour beetles and inspect them regularly. Freezing kills the beetle.

Otherwise, the destructive flour beetle can be exterminated like other food pests.

Yellow mealworm beetle

Yellow mealworm beetle (Tenebrio molitor) and its larvae. Image: Luomus and Seppo Parkkinen.

Identification marks

Adult: 12–18 mm

Larva: approx. 30 mm

A full-grown mealworm beetle is quite large and black or dark brown in colour. Its antennae are short, stocky and filamentous. Its elytrons have vertical grooves. It is similar to the destructive flour beetle, but larger.

Its larva is yellowish-brown, shiny and has a hard shell. It has a stocky body, and its back end has two small juts.

Occurrence

In nature, the mealworm inhabits decomposing trees and bird and wasp nests, and are brought into homes from outdoors. An adult beetle usually moves in the dark and thrives in slightly damp premises.

Mealworm larvae, or just mealworms, are grown to be used as food for caged birds and reptiles.

Damage

Both the worms and the beetles eat grain produce and contaminate them. Flour becomes cloddy and starts to smell of mildew.

Prevention and extermination

Yellow mealworm beetles are exterminated like other food pests.

Confused flour beetle

Confused flour beetle (Tribolium confusum). Image: Luomus.

Identification marks

Adult: 3–4 mm

Larva: 7–8 mm

The adult beetles are reddish-brown in colour and similar to the destructive flour beetles but are slightly smaller.

The larvae are light yellow in colour and cylinder-shaped. Due to the jutting appendages at the end of their bodies, the larvae are similar to the larvae of the destructive flour beetle.

Occurrence

Rarely seen in apartments. The confused flour beetle is transported into mills and bakeries with grains.

Damage

In addition to grain products, the insect may destroy dried fruits, spices and chocolate.

Prevention and extermination

Confused flour beetles are exterminated like other food pests.

Bread beetle

Bread beetle (Stegobium paniceum). Image: Luomus.

Identification marks

Adult: 3 mm

Larva: 3 mm

An adult bread beetle is russet brown in colour and has thick hair. The larva is light in colour, and the end of its body is curved.

Occurrence

The bread beetle mainly travels to Finland with spices and drugs. It may also be encountered in grain products. It rarely spreads into indoor premises.

Damage

The bread beetle is a pest in bakeries and spice storages.

Prevention and extermination

Bread beetles are exterminated like other food pests.

American wasp beetle

American wasp beetle (Reesa vespulae) and its larva. Image: Luomus and Jarno Holopainen.

Identification marks

Adult: 2–4 mm

Larva: 4–5 mm

The American wasp beetle is narrow and oval, dark brown, and has a yellowish horizontal line on the front part of the elytrons. Its surface is covered by black or yellowish-brown hair. 

The larva is goldish-brown in colour and hairy. The end of its body has a tuft of hair.

Occurrence

Can be found in dry food in a kitchen, mattresses and clothing.

Damage

The American wasp beetle may cause serious damage in stored seeds and in the plant and insect collections of museums.

Prevention and extermination

American wasp beetles are exterminated like any other food pest.

Cockroach

German cockroach (Blatta germanica). Image: Luomus.

Identification marks

Adult: 8–13 mm

The German cockroach is the most common species of cockroach in Finland. It is yellowish brown in colour, and the front of its back has two dark brown stripes. The wings cover the back of its body completely. Its antennae are long and filamentous and curve backwards. Its feet curve outwards and are long, thin and prickly. The female cockroach has a strange handbag-like pouch in which it carries its eggs.

The hatched larvae look like the adult cockroaches but have stumped wings.

Occurrence

German cockroaches form small communities in suitably warm (at least +20 °C) places. During the daytime, they hide in their holes, and at night, they move around looking for food. They drink water and eat almost anything humans eat.

In addition to apartments, they live in bakeries and other food establishments, hospitals, and in any places that provide sufficient heat and moisture. Cockroaches can especially be found in machinery, pipes, cable channels and encased structures, as well as in social premises.

The German cockroach can spread to new areas in various transport packages and platforms. They can also be seen on landfill sites, where the rotting process produces warmth.

Damage

Cockroaches damage foodstuffs with their excrement. Cockroaches are also allergenic and may spread both bacteria and virus-based diseases.

Prevention and extermination

If you see cockroaches in your apartment, please immediately contact your building manager, who will order a professional to perform the extermination. You can try to photograph or trap a cockroach in a jar to speed up the identification of the species and to start proper extermination measures.

If you live in a detached house, you should first study their possible hiding places by using a pesticide aerosol intended for indoor pests, which will force the cockroaches out of hiding. The actual extermination should be carried out by a specialist company. 

Recommended for you

Recommendations are generated automatically based on content.